5日目①:1日遊べる最後の日
朝食
この日は7時に起床。 天気予報では「More clouds than sun」となっていたけど…。

確かに雲は多いけど、悪い天気ではありません。では、朝食に行きましょう~。
レストランで少しバッフェ台を撮らせてもらいました。




パンのそばにあるハチミツは、蜂の巣がそのまま置かれていました。

この日のホットミールは…。


辛いですが卵の黄身がとろとろで、くずして食べるとまろやかな味になります。ロシ(ナンのモルディブ版)につけて食べます。
海へ
食後は、海で遊ぶことにしました。



今日は、昨日までよりも風が強いです。でもその分、暑さは和らいでいるかな?
浮き輪を持ってきたはいいものの、 昨日よりも波が高くて怖かったのか娘は浮き輪に入ってくれませんでした。

シュノーケル
昨日と同じく11時ごろに娘はお昼寝をして、相方も一緒に休むというので私は1人シュノーケルをすることにしました。今日は北側の、Arrival jetty側からエントリーします。

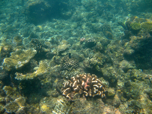
浅瀬は砂が巻きあがっていて透明度が悪く、 気をつけていないと珊瑚にぶつかってしまいそう。でも、ドロップオフまで来ると透明度が高くなってきました。

昨日シュノーケルしたポイントより、こちらのほうが珊瑚が綺麗! でもお魚は少ないです。


少し泳いで、Arrival jettyへ上がりました。



今度は、昨日と同じ南側を泳いでみよう!



Private jettyからエントリーします。


jettyの上から海の中をのぞくと、昨日より透明度は高いようです。

横についている梯子から海へ下りて、シュノーケルすると…。


昨日よりもよく見えるし、魚も多い!少し泳いでいると、青い魚の大群が来ました。





やっぱり朝~午前中のほうが透明度も高いし、魚も活発なようです。たくさん見ることができて大満足でした!
そのままお部屋のテラスまで泳いできました。

泳いで直接お部屋へ戻ってこれるのは、楽だな~と実感しました。